Insect
Trade Online
Home
About-Us
Terms & Condition
Menu
Profile
View
Logout
Pencarian
×
Insect Of Indonesia
home
coleoptera
cerambycidae
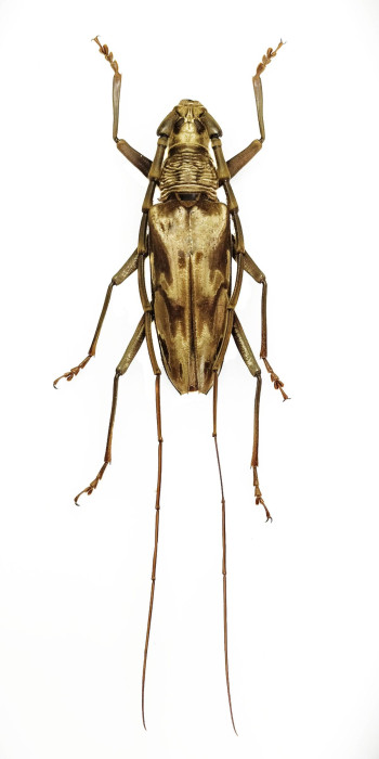
massirachys-mariae
Massirachys-mariae
Insect Trade Online